Aktualizacja z dnia 02.03.26
We wtorek 3 marca, po porannym szczycie komunikacyjnym, zostanie wprowadzone zwężenie al. Rzeczypospolitej do jednego pasa ruchu w obu kierunkach.
Zwężenie obu jezdni planowane jest na okres co najmniej dwóch miesięcy. W tym czasie budowane będą nowe kapy chodnikowe.

Aktualizacja z dnia 24.02.26
W środę 25 lutego, po popołudniowym szczycie komunikacyjnym, wprowadzona zostanie kolejna zmiana w organizacji ruchu.
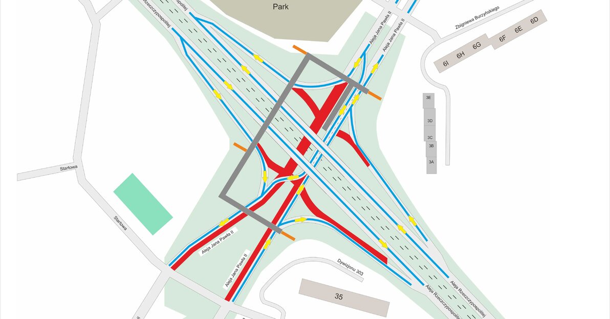
- Przywrócona zostanie obowiązująca wcześniej tymczasowa organizacja ruchu, w ramach której ruch w ciągu Al. Jana Pawła II odbywał się dwukierunkowo po zachodniej jezdni (kierunek od stacji Zaspa SKM w stronę Parku Reagana).
- Nie będą funkcjonowały niektóre relacje skrętne z Al. Rzeczypospolitej w Al. Jana Pawła II, a objazdy zostaną wytyczone na najbliższych skrzyżowaniach.
- Wyłączone z ruchu pozostaną pasy rowerowe w Al. Jana Pawła II pod wiaduktami w ciągu Al. Rzeczypospolitej.
Taka organizacja ruchu utrzyma się przez kilka najbliższych miesięcy, na czas prac przy budowie systemu nowych kładek na skrzyżowaniu od strony Wrzeszcza.
Aktualizacja z dnia 22.01.26
W piątek, 23 stycznia, po godzinie 22.00, wprowadzone zostaną zmiany w organizacji ruchu na Al. Jana Pawła II.
Ruch pod Aleją Rzeczypospolitej w ciągu Jana Pawła II, który dotychczas odbywał się jezdnią od strony Przymorza, zostanie poprowadzony w obu kierunkach jezdnią po stronie Wrzeszcza.
Tymczasowa organizacja ruchu obowiązywać będzie przez około dwa tygodnie.

Aktualizacja z dnia 02.01.26
W nocy z 7 na 8 stycznia wprowadzone zostaną czasowe zmiany w organizacji ruchu oraz funkcjonowaniu komunikacji miejskiej. Utrudnienia potrwają do 21 stycznia br.
Objazdy i zmiany w komunikacji
Przystanki tramwajowe:
- od nocy 7/8 stycznia do środy 21 stycznia tramwaje będą przejeżdżać przez przystanki Jana Pawła II 01 i 02 (na wysokości kładki) bez zatrzymywania się.
Zmiany w ruchu drogowym:
- w nocy 7/8 stycznia – zamknięcie obu pasów al. Rzeczypospolitej w kierunku Żabianki. Objazd przez nawrotkę w al. Jana Pawła II.
- w nocy 8/9 stycznia – zamknięcie obu pasów al. Rzeczypospolitej w kierunku Wrzeszcza. Objazd przez al. Jana Pawła II i ul. Dywizjonu 303.
Objazdy dla linii nocnej N1:
- w nocy 7/8 stycznia oraz od nocy 12/13 stycznia do 20/21 stycznia – w kierunku Osowej PKP:
od przystanku „Legionów” (n/ż) 03 do „Kołobrzeska” (n/ż) 04 autobusy pojadą ulicami: al. Legionów – Hynka – al. Rzeczypospolitej – dalej po stałej trasie.
przystanki „Żwirki i Wigury” (n/ż) 03 oraz „Startowa” (n/ż) 03 nie będą obsługiwane. Zastępczo obsługiwane będą: „Rozstaje” (n/ż) 05, „Skarżyńskiego” (n/ż) 01, „Zaspa SKM” (n/ż) 01 oraz „Hynka” (n/ż) 01.
- w nocy 8/9 stycznia – w kierunku Jaworzniaków:
od przystanku „Startowa” (n/ż) 04 do „Bajana” (n/ż) 03 autobusy pojadą ulicami: al. Rzeczypospolitej – al. Jana Pawła II – al. Rzeczypospolitej – dalej po stałej trasie.
Aktualizacja 12.12.2025
W nocy z poniedziałku na wtorek (z 15 na 16 grudnia), nocne roboty rozbiórkowe kładki na Zaspie przeniosą się nad jezdnię al. Rzeczypospolitej w kierunku Żabianki.
Rozbiórki nadal będą prowadzone w godzinach nocnych, aby zminimalizować utrudnienia w ruchu drogowym.
W związku z tym:
- od godziny 22.00 do godziny 5.00 rano zamknięty zostanie fragment jezdni al. Rzeczypospolitej w kierunku Żabianki;
- z ruchu zostaną wyłączone wszystkie pasy. W tym czasie zalecany jest objazd z wykorzystaniem nawrotki w al. Jana Pawła II.
W ciągu dnia na fragmencie na wysokości kładki, planowane jest zawężenie lewego pasa jezdni w kierunku Żabianki.
Ten etap prac potrwa co najmniej dwa tygodnie.
Funkcjonowanie komunikacji miejskiej pozostaje bez zmian.
Nocną organizację ruchu od dnia 15 grudnia obrazuje poniższy schemat.

Dzienną organizację ruchu od dnia 16 grudnia obrazuje poniższy schemat.

Aktualizacja 01.12.2025
W nocy z poniedziałku (1 grudnia) na wtorek (2 grudnia) rozpoczną się nocne prace rozbiórkowe kładki na Zaspie. W pierwszym etapie realizowane będą nad al. Rzeczypospolitej w kierunku Wrzeszcza.
W związku z robotami nocnymi:
- od godziny 22 do godziny 5 rano zamknięty zostanie fragment jezdni al. Rzeczypospolitej w kierunku Wrzeszcza;
- z ruchu zostaną wyłączone wszystkie pasy. W tym czasie zalecany jest objazd z wykorzystaniem al. Jana Pawła II i ul. Dywizjonu 303;
- w ciągu dnia na fragmencie na wysokości kładki, planowane jest zawężenie lewego pasa jezdni w kierunku Wrzeszcza.
Te prace mają potrwać do końca tygodnia (7 grudnia).
Funkcjonowanie komunikacji miejskiej pozostaje bez zmian.
Nocną organizację ruchu obrazuje poniższy schemat.

Aktualizacja 25.10.2025
Od soboty 25 października rozpoczęły się prace związane z rozbiórką kładki. W związku z tym wprowadzone zostały następujące zmiany w organizacji ruchu:
- ruch samochodów pod kładką zostanie przekierowany na jezdnię od strony Przymorza – w układziе po jednym pasie w każdą stronę;
- druga jezdnia al. Jana Pawła II (kierunek w stronę szpitala) zostanie zamknięta;
- ruch na al. Rzeczypospolitej pozostanie bez zmian;
- od strony Przymorza wjazd z al. Rzeczypospolitej w al. Jana Pawła II w kierunku nadmorskim możliwy będzie przez skrzyżowanie z ul. Hynka;
- od strony Wrzeszcza wjazd w kierunku przystanku SKM możliwy będzie po skręcie w prawo i nawróceniu na najbliższym na skrzyżowaniu.
Zmieniona organizacja ruchu obowiązywać będzie do końca 2025.
